Site Logo

Overall rabies risk in Southeast minimal, says wildlife biologist

Published 10:30 pm Wednesday, July 6, 2022

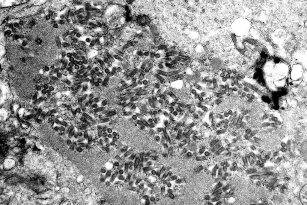
This undated electron microscope image made available by the Centers for Disease Control and Prevention shows rabies virions, dark and bullet-shaped, within an infected tissue sample. (F. A. Murphy/CDC via AP)
1/2

This undated electron microscope image made available by the Centers for Disease Control and Prevention shows rabies virions, dark and bullet-shaped, within an infected tissue sample. (F. A. Murphy/CDC via AP)

This undated electron microscope image made available by the Centers for Disease Control and Prevention shows rabies virions, dark and bullet-shaped, within an infected tissue sample. (F. A. Murphy/CDC via AP)
This undated electron microscope image made available by the Centers for Disease Control and Prevention shows rabies virions, dark and bullet-shaped, within an infected tissue sample. (F. A. Murphy/CDC via AP)

Southeast Alaska’s unique geography and species present make the likelihood of increased rabies risk low, said an Alaska Department of Fish and Game wildlife biologist.

The discovery of a bat carrying the disease last week wasn’t unheard of, but is nevertheless a very rare event.

“Unlike many other mammals, bats don’t associate with other mammals,” said area wildlife biologist Roy Churchwell in a phone interview. “That’s probably why it doesn’t travel out of the population.”

[Play brings rarely-seen side of Klondike Gold Rush to fore]

Rabies is a virus which attacks the central nervous system, according to the federal Centers for Disease Control and Prevention. It often spreads to people and pets if they’re bitten or scratched by rabid animals, according to the CDC. Bats are the primary carriers of rabies— insofar as the term primary carriers signifies for six documented positive cases over 45 years— in the region due to the animals present, Churchwell said.

“There’s potential, but it’s pretty unlikely that we’ll pick one up. It’s not going to be common enough that we’ll be able to detect,” Churchwell said. “Further up north, foxes get it. We don’t have much of a fox population here.”

Interacting with house pets is one of the most likely vectors in Southeast Alaska as well, Churchwell said; a cat or dog, for example, might see a bat on the ground and interact with it, becoming infected. Rabies travels through saliva, such as through a bite or an open wound, according to the CDC.

“That’s how it’s most likely to infect a pet,” Churchwell said. “People need to make sure their pets are vaccinated.”

A vaccine also exists for humans, Churchwell said, though it’s not commonly administered preventatively.

“There’s a human vaccine,” Churchwell said. “Most humans don’t get it unless they work with wildlife.”

For humans that are exposed, a two-week course of vaccination has to take place immediately, according to the CDC, administered in the arm like regular vaccinations.

Animals who have been exposed to rabies may act strangely, according to the CDC — they may be aggressive, attempt to bite, salivate more than usual, or act otherwise unusually, such as not being cautious of humans as wildlife is wont to be.

The bat identified with rabies was outside during the day and acting oddly, according to Alaska Department of Fish and Game.

In the U.S., bats are the leading vector for rabies to humans, but in the rest of the world, many parts of which may not have the United States’ mandatory rabies vaccines for dogs, dogs are the cause of nearly all rabies deaths across the planet, according to the CDC.

The CDC urges anyone who has been in direct contact with wildlife, especially if they’ve been bitten or scratched, to see a doctor; untreated, rabies attacks the brain and is ultimately fatal.

• Contact reporter Michael S. Lockett at 757-621-1197 or mlockett@juneauempire.com.